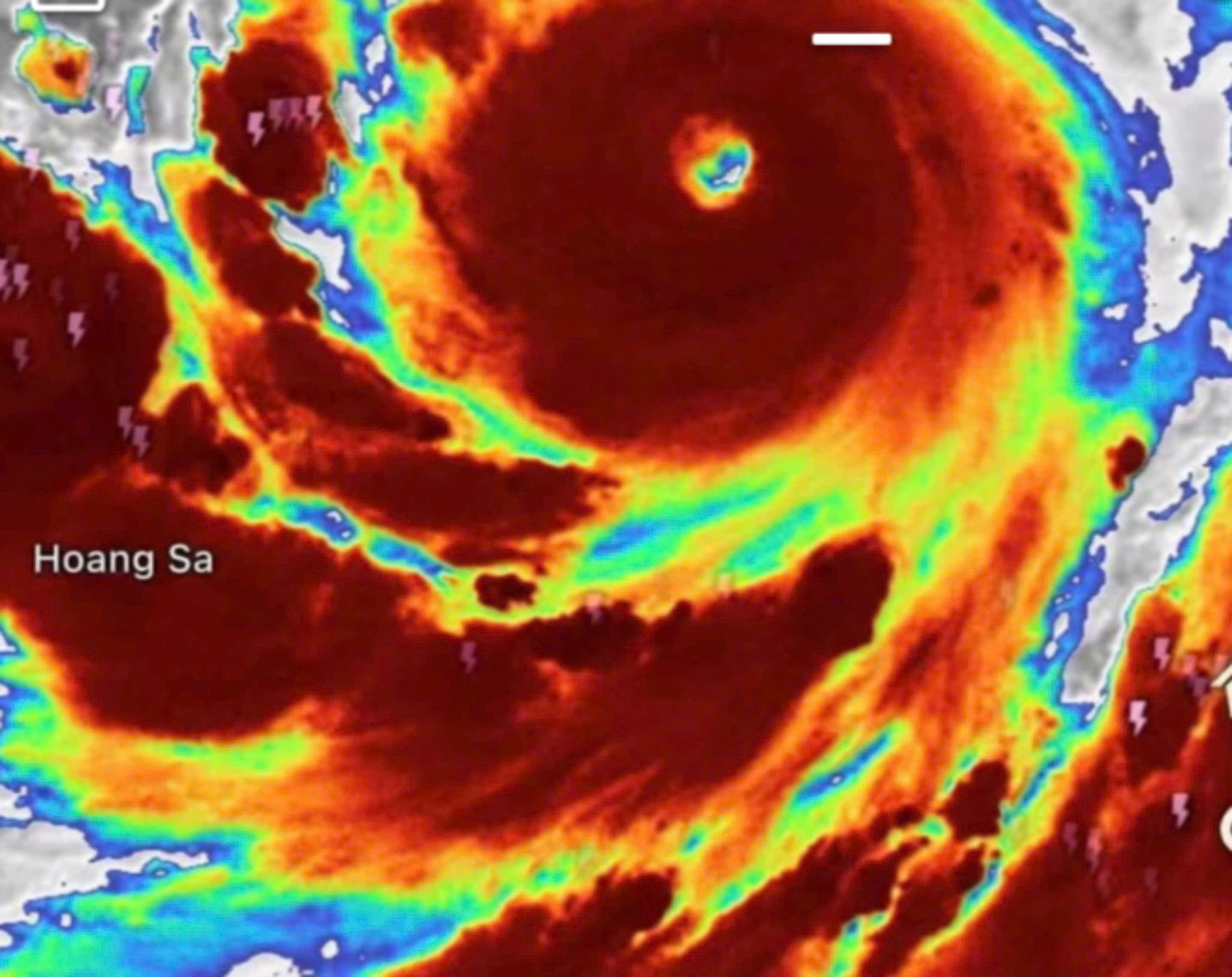
Cơn bão số 3 (Yagi) có cường độ mạnh lên cấp 16, giật trên cấp 17, và bán kính rất rộng lốc xoáy giông gió mạnh mưa to, và trở thành một cơn bão mạnh nhất trên vùng Biển Đông hơn 10 năm qua, do vậy bà con nhân dân hết sức cảnh giác, chủ động phòng tránh và có các phương án ứng phó.
Cơn bão số 3, mạnh nhất từ 10 năm qua trên Biển Đông.
Công điện hỏa tốc số 87/ CĐ – TTg tập trung ứng phó của thủ tướng Phạm Minh Chính về cơn bão số 3, công điện nêu, sáng nay cơn bão số 3 đã mạnh lên thành siêu bão cấp 16 và giật trên cấp 17, dự báo từ sáng mai bão ảnh hưởng trực tiếp tới Vịnh Bắc Bộ, với sức gió mạnh nhất vùng gần tâm bão mạnh cấp 13 và 14 giật cấp 16 và ảnh hưởng đến đất liền khu vực Đông Bắc Bộ, Bắc Trung Bộ, với sức gió có thể mạnh lên đến cấp 10 và 12, giật cấp 13 và ảnh hưởng sâu tới đất liền, bão số 3 có cường độ rất mạnh mức độ rũi ro thiên tai lớn diễn biến ngày càng phức tạp. Vì vậy Thủ tướng chính phủ yêu cầu Bộ trưởng các bộ, Bí thư và Chủ tịch UBND các Tỉnh, Thành phố liên quan tập trung lãnh đạo, tổ chức chỉ đạo kiểm tra đôn đốc triển khai thực hiện quyết liệt kịp thời hiệu quả, với tinh thần chủ động phòng ngừa ứng phó bão với mức cao nhất, để đảm bảo an toàn tính mạng cho người dân nhất là trẻ em và các đối tượng yếu thế, hạn chế thấp nhất thiệt hại về tài sản. Bí thư, Chủ tịch UBND cấp Tỉnh, Thành phố liên quan đình hoãn các cuộc họp không thật cấp bách, huy động cả hệ thống chính trị vào cuộc. Phân công từng đồng chí, trong thường vụ, thường trực Ủy ban trực tiếp xuống các địa bàn trọng điểm để lãnh đạo, chỉ đạo triển khai đôn đốc, kiểm tra công tác phòng chống bão lũ, rà soát lại triển khai ngay việc đảm bảo an toàn cho người và tàu thuyền phương tiện, các hoạt động trên biển đảo kiên quyết không để người dân ở lại khu vực nguy hiểm, khi mà ảnh hưởng bão trực tiếp và mưa lớn, đảm bảo an toàn nơi hồ đập, an toàn giao thông bảo vệ sản xuất nông nghiệp, chống ngập úng khu đô thị, và khu công nghiệp, chủ động bố trí lực lượng phương tiện tại khu vực trọng yếu để xử lý kịp thời các tình huống phát sinh, xử lý nghiêm chủ Doanh nghiệpphương tiện tàu thuyền, làng bè không tuân thủ chỉ đạo của lực lượng chức năng trong phòng chống bão.Bí thư, Chủ tịch UBND cấp tỉnh chịu trách nhiệm trước Ban Bí thư, Thủ Tướng Chính phủ nếu chủ quan lơ là trong lãnh đạo, chỉ đạo chậm triển khai với bão lũ dẫn tới thiệt hại lớn về ngưởi và tài sản, Thủ Tướng yêu cầu Bộ Quốc Phòng, Bộ CôngAn, chủ động bố trí lực lượng phương tiện phối hợp với các lực lượng liên quan khiển khai phòng chống bão lũ, Thủ tướng giao Phó Thủ tướng Trần Hồng Hà trực tiếp chỉ đạo các bộ, ngành, địa phương triển khai kịp thời hiệu quả công tác ứng phó, khắc phục hậu quả bão số 3 và mưa lũ sau bão. Công tác ứng phó bão số 3 đang diễn ra hết sức khẩn trương, ngay trong chiều nay Phó thủ tướng Trần Hồng Hà đã chỉ đạo cuộc họp ứng phó với bão số 3, với các Bộ, ngành, và các địa phương để tiếp tục triển khai các biện pháp chống bão. Siêu bão số 3 sẽ vẫn mạnh khi tiến gần đất liền miền Bắc, khả năng đổ bộ vào các tỉnh Quảng Ninh, Nam Định, phạm vi ảnh hưởng của cơn bão rất rộng lớn, trong hôm nay hơn 51,000 tàu thuyền được thông báo tránh trú neo đậu, toàn bộ người dân trên thuyền làng bè thủy sản cũng được kêu gọi lên bờ. Các địa phương cũng chuẩn bị phương án cho học sinh nghĩ học, và dừng các hoạt động đông người. Hiện nay Quảng Ninh và Hải Phòng còn hơn 2000 ngàn khách trên đảo, dự kiến sẽ vào bờ trong thời gian sớm, công tác về đảm bảo an toàn con người là ưu tiên hàng đầu, khi thời gian chống bão không còn nhiều.
Ông Phạm Đức Luận, Cục trưởng Cục Quản lý đê điều và phòng chống, thiên tai cho biết,các địa phương cần rà soát lại và di dời người dân đảm bảo an toàn trước khi bão đến, cơn bão mạnh có vùng bán kính lớn và tuyệt đối không được chủ quan. Đặc biệt khi bão đổ bộ vào, người dân hạn chế không ra bên ngoài, các mối nguy hiểm cơn bão số 3 rất lớn, sạt lở, ngập lụt, nguy cơ mất an toàn rất cao như hồ, đập, đê biển, và các sự cố khác.
Phó Thủ tướng Trần Hồng Hà, họp và chỉ đạo cơ quan ban ngành để ứng phó cơn bão số 3.
Tại cuộc họp ứng phó với bão số 3, Phó thủ tướng Trần Hồng Hà yêu cầu các địa phương hết sức tập trung thực hiện ứng phó, đồng thời nhấn mạnh hành động trong 24 giờ phải là hành động tốt nhất để thiệt hại từ bão là thấp nhất, và ứng phó bão từ xa phòng ngừa bị ngập úng. Thực hiện công điện của Thủ tướng Chính phủ về tập trung ứng phó khẩn cấp bão số 3, Bộ ngoại giao đã yêu cầu cơ quan đại diện VIệt Nam tại Trung Quốc và PHILIPPNES, chủ động liên hệ với cơ quan chức năng sở tại đề nghị tạo điều kiện cho các tàu thuyền của Việt Nam trú tránh bão, phối hợp cứu người, sửa chữa tàu thuyền trong trường hợp khẩn cấp và cần thiết. Đồng thời Bộ ngoại giao cũng đã gởi công hàm đại sứ quán Trung Quốc và đại sứ quán PHILIPPNES, tại Việt Nam đề nghị các cơ quan chức năng hai nước phối hợp chặt với phía Việt Nam trong việc hỗ trợ tàu thuyền. Bộ ngoại giao cũng đã cử cán bộ trực 24/24 để kịp thời hỗ trợ, phối hợp với các cơ quan trong và ngoài nước.
Thanh Phong – Quốc Chung





